Hurricane Melissa
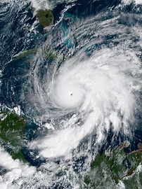
Hurricane Melissa is a powerful Atlantic hurricane between Jamaica and Cuba. The thirteenth named storm, fifth hurricane, fourth major hurricane, and third Category 5 hurricane of the 2025 Atlantic... Wikipedia
- Data source: DuckDuckGo