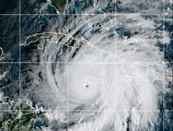
El huracán Melissa, de categoría 5, oficialmente tocó tierra en Jamaica este 28 de octubre. Con vientos de 295 km/h, este fenómeno natural enciende las alarmas dentro de la isla. Y no es para menos, este podría ser el peor que han enfrentado en los últimos años.
Emiliana Bernard es la embajadora de Colombia en Jamaica. Está ubicada en Kingston, capital del país caribeño. En entrevista con EL TIEMPO, la diplomática detalló cómo se ha vivido el preludio de la llegada del huracán, así como la resistencia de algunas comunidades a evacuar y las acciones para proteger a los colombianos en la isla.
LEA TAMBIÉN

La gestión de las autoridades jamaiquinas: 'Hay gente que no quiere salir por temor'
Autoridades advirtieron que cerca 1,5 millones de personas podrían resultar afectadas por la emergencia. Esta cifra equivale a un poco más de la mitad de la población total que hay en Jamaica, que no supera los 3 millones. Y es que el gobierno de Jamaica habilitó más de 800 refugios en la isla, pero solo 134 de ellos están siendo usados.
Melissa se fortalece a medida que la pared norte del ojo se acerca a la costa sur. Foto:fotos
Bernard explicó que existe resistencia de muchas familias —en especial en zonas costeras— a dejar sus viviendas: “Hay gente que no quiere salir por temor a perder sus pertenencias. La prevención ha sido intensa, pero es un tema cultural muy arraigado”.
Aun así, destacó la labor de las autoridades, que incluso hicieron operativos para trasladar a habitantes de calle: “Son población de altísimo riesgo. Kingston ha hecho un trabajo fuerte de protección”.
LEA TAMBIÉN

Así ha enfrentado la emergencia la embajadora colombiana en Jamaica: 'Estamos preparados'
Aunque está lejos del ojo del huracán, Emiliana Bernard ha vivido jornadas tensas en Kingston. La diplomática explicó que su conocimiento previo —por haber crecido en San Andrés, una región golpeada históricamente por este tipo de emergencias— le permitió actuar con anticipación:
“Yo creo que tengo algo de experiencia en huracanes… eso me trae una ventaja”.
Emiliana Bernard es oriunda del Archipiélago de San Andrés. Foto:Embajada de Colombia en Jamaica
Desde el viernes, por instrucciones del Gobierno local, la embajadora y su equipo permanecen resguardados en la residencia oficial. Allí establecieron una zona considerada segura.
Además, se abastecieron para al menos ocho días: “Compramos provisiones necesarias, agua, alimentos, linternas. También empacamos nuestro kit de emergencia, nuestra bolsa para cualquier cosa salir”.
LEA TAMBIÉN

Aunque han sufrido cortes intermitentes de energía y fallas de conectividad, cuentan con planta eléctrica, lo que les ha permitido mantener comunicación con Colombia y reportar lo que sucede en tiempo real.
Bernard también ha aprovechado los momentos de calma para seguir trabajando: “Hay que aprovechar para hacer algunas otras cosas: trabajar, conectar, informar”.
¿Qué se sabe de los colombianos en Jamaica?
Emiliana Bernard y su equipo diplomático ha estado pendiente de los casi 300 colombianos que se encuentran en Jamaica.
Huracán Melissa toca tierra en Jamaica. Foto:Captura de pantalla
La Embajada hace seguimiento permanente a turistas y residentes, especialmente en Montego Bay, donde el impacto directo se esperaba durante la noche. Bernard confirmó que trabajan con el Ministerio de Turismo jamaiquino para ubicar y orientar a connacionales.
“Allí puede haber un impacto final. Esa es nuestra mayor preocupación, porque hay colombianos de vacaciones”, afirmó.
Desde antes de la llegada de Melissa, la isla ya ha sufrido varios cortes de luz por cuestión de seguridad. “Anoche fue una noche bien difícil, mucho viento, demasiada lluvia… algunos sectores definitivamente desconectados de la energía”, relató a este medio.
La diplomática explicó que, aunque Kingston está lejos de la zona crítica, la magnitud del fenómeno ha provocado caídas de árboles, cortes intermitentes de electricidad y fallas recurrentes en la conectividad de internet y telefonía.
“Estamos experimentando ráfagas violentísimas. Creemos que estamos en la parte final, pero todavía se intensifican los vientos”, dijo, mientras la velocidad de los vientos no amaina.
La respuesta de la embajadora a las afirmaciones del presidente Petro sobre el huracán: 'Defiende el Caribe'
El presidente colombiano habló en sus redes sociales sobre el fenómeno natural. Primero, Petro afirmó que el huracán Melissa "defiende el Caribe" mientras que las autoridades daban alerta de consecuencias caóticas como inundaciones repentinas, marejadas ciclónicas y hasta deslizamientos.
Más tarde, el mandatario agregó: "El sistema de huracanes del Caribe es lo que lleva agua a las islas del Caribe. Sin agua no hay vida. La defensa ante los huracanes implica disciplina social y pueblos unidos y no divididos".
Frase del presidente Gustavo Petro. Foto:X:@petrogustavo
Consultada sobre esa postura, la embajadora Bernard centró su respuesta en la realidad ambiental del Caribe.
“Los huracanes hacen parte de la vida de la gente del Caribe. Ya aprendió a convivir con ellos, se planifica una vida teniendo presente la presencia de los huracanes y cómo se puede aprovechar el huracán como un recurso que puede solventar muchas crisis, especialmente del agua potable”, le dijo a EL TIEMPO.
Señaló que en la región se han desarrollado programas de análisis y prevención para afrontarlos como parte de la cotidianidad: “Para eso el Caribe creó el un centro de planificación, estudio y análisis de los huracanes. Para ayudar a las comunidades a entender, a mejorar su convivencia desde el punto de vista de supervivencia como seres humanos resilientes”.
La embajadora concluyó que los huracanes serán un fenómeno constante: “Van a ser reiterados y repetitivos hasta el fin de nuestras vidas”.
Mientras el huracán Melissa atraviesa la isla, Bernard insiste en una posición de calma y esperanza: “Esperamos terminar este proceso y salir airosos, siempre atentos a los colombianos”.
María Paula Rodríguez Rozo
REDACCIÓN ÚLTIMAS NOTICIAS
hace 3 semanas
7












English (US) ·
Spanish (ES) ·